Used 2021 Toyota Tacoma TRD Sport 5' Bed
4x4
Vehicle Summary
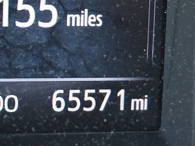
Mile
Miles
MPG FUEL ECONOMY
CITY
HWY
AVG
Horsepower
HP
Torque
Vehicle Description
Clean CARFAX.
Vehicle Options: 120V/400W Deck Mounted AC Power, 6 Speakers, ABS brakes, Air Conditioning, Alloy wheels, AM/FM radio: SiriusXM, Anti-whiplash front head restraints, Apple CarPlay/Android Auto, Auto High-beam Headlights, Auto-dimming Rear-View mirror, Automatic temperature control, Axle Ratio: 3.91, Brake assist, Bumpers: body-color, Color-Keyed Overfenders, Driver door bin, Dual front impact airbags, Dual front side impact airbags, Electronic Stability Control, Emergency communication system: Safety Connect with 1-year trial, Engine Immobilizer, Exterior Parking Camera Rear, Fabric Seat Trim (FD), Front anti-roll bar, Front Bucket Seats, Front Center Armrest, Front dual zone A/C, Front fog lights, Front reading lights, Front Seats, Front wheel independent suspension, Heated power door mirrors, Illuminated entry, Knee airbag, Leather Shift Knob, Low tire pressure warning, Occupant sensing airbag, Outside temperature display, Overhead airbag, Overhead console, Panic alarm, Passenger door bin, Power door mirrors, Power driver seat, Power Sliding Rear Window w/Privacy Glass, Power steering, Power windows, Radio: AM/FM Radio, Rear step bumper, Remote keyless entry, Security system, Smart Key w/Push Button Start, Speed control, Speed-sensing steering, Split folding rear seat, Steering wheel mounted audio controls, Tachometer, Telescoping steering wheel, Tilt steering wheel, Traction control, Trip computer, Turn signal indicator mirrors, Variably intermittent wipers, and Wheels: 17" x 7.5J Machined Alloy.
This vehicle includes our*
*Lifetime Loyalties comes with all Loyalty new cars and used cars that are 6 years or newer with 80,000 miles or fewer. See dealer for any questions or additional details.
-
Interior
- Driver seat power reclining, lumbar support, cushion tilt, fore/aft control and height adjustable control
- Dual-zone front climate control
- Automatic climate control
- Leather and metal-look steering wheel
- Manual tilting steering wheel
- Manual telescopic steering wheel
- Premium cloth front seat upholstery
- Premium cloth rear seat upholstery
- Cabin air filter
- Rear under seat climate control ducts
- Bucket front seats
- Driver seat with 8-way directional controls
- Front seat center armrest
- Front passenger seat with 4-way directional controls
- Driver seat with 2-way power lumbar
- Split-bench rear seat
- Flip forward cushion and rear seatback
- 60-40 folding rear seats
- Anti-whiplash front seat head restraints
- Seating capacity: 5
- Deep tinted windows
- Passenger seat manual reclining and fore/aft control
- Cloth door trim insert
- Cloth front seatback upholstery
- Plastic rear seatback upholstery
-
Exterior
- Trailer sway control
- Pickup bed rail system
- 17 x 7.5-inch front and rear machined TRD aluminum wheels
- P265/65SR17 AS BSW front and rear tires
- Trailer wiring harness
- Class IV tow rating
- Trailer hitch
- 1 underbody skid plate
- Full-size spare tire with steel wheel
- Crank-down spare tire
- Front tow hook
- 4 doors
- Standard composite style pickup box
- Fully galvanized steel body panels with side impact beams
- Body-colored front bumper
- Body-colored rear bumper
- Body-colored fender flares
- Black grille with body-color surround
- Black side window trim
- Body-colored door handles
- Monotone paint
- Exterior decal
- Standard style side mirrors
- Rear bumper step
- Body-colored door mirrors
-
Mechanical
- Part-time 4WD
- 3.5L V-6 port/direct injection, DOHC, variable valve control, regular unleaded, engine with 278HP
- 3.5L V-6 DOHC
- 6-speed automatic
- Transmission electronic control
- Automatic
- Four-wheel drive
- Speed sensitive power steering
- Lock-up transmission
- Front mounted engine
- Spark ignition system
- Longitudinal mounted engine
- Aluminum engine block
- Aluminum cylinder head
- Overdrive transmission
- Transmission oil cooler
- Engine Configuration: V6
- Powertrain type: ICE
- All-speed ABS and driveline traction control
- Electronic transfer case shift
- Standard ride suspension
- Independent front suspension
- Double wishbone front suspension
- Front anti-roll bar
- Front coil springs
-
Safety
- Toyota Safety Sense P (TSS-P) forward collision mitigation
- Pedestrian impact prevention
- Rear mounted camera
- Brake assist system
- Lane Departure Alert (LDA)
- Vehicle Sway Warning driver attention alert
- Automatic High Beams (AHB) auto high-beam headlights
- Immobilizer
- Electronic stability control system
- Hill descent control
- Hill start assist
- LED daytime running lights
- Manual rear child safety door locks
- 8 airbags
- Driver front impact airbag
- Seat mounted side impact driver airbag
- Curtain first and second-row overhead airbags
- Passenger front impact airbag
- Seat mounted side impact front passenger airbag
- Airbag occupancy sensor
- Driver and passenger side knee airbag
- Projector beam headlights
- Halogen headlights
- Auto off headlight control
- 4-wheel antilock (ABS) brakes
-
Entertainment
- Primary monitor touchscreen
- Bluetooth wireless audio streaming
- External memory control
- Siri Eyes Free voice activated audio controls
- AM/FM/SiriusXMsatellite
- 2 total number of 1st row displays
- 8 inch primary display
- Standard grade speakers
- Speed sensitive volume
- 6 speakers
- Seek scan
- Auxiliary input jack
- 3 month satellite trial subscription
- Integrated roof audio antenna
-
Crash Safety Ratings
-
OVERALL
4 STAR
-
FRONT
4 STAR
SIDE
5 STAR
ROLLOVER
4 STAR
-
-
Disclaimers
-
Used vehicle pricing includes all offers and incentives. Tax, Title and Tags not included in vehicle prices shown and must be paid by the purchaser. Some prices may include manufacturer-to-dealer offers that are not compatible with manufacturer special finance programs and/or lease offers. While great effort is made to ensure the accuracy of the information on this site, errors do occur so please verify information with a customer service rep. This is easily done by calling us at 804.796.1800 or by visiting us at the dealership.
*Number of views in last 30 days
Based on 2021 EPA mileage ratings. Use for comparison purposes only. Your actual mileage will vary depending on how you drive and maintain your vehicle.
May not represent actual vehicle. (Options, colors, trim and body style may vary) Excludes tax, tag, title and registration. Dealer documentation fee applies. Powertrain applies to vehicles with 80,000 miles or fewer, 6 years old or newer. Some luxury brands excluded. Some exclusions may apply. See dealer for details. All advertised vehicles are subject to actual dealer availability. Certain vehicles listed may not be available, or may have different prices. While every reasonable effort is made to ensure the accuracy of this information, we are not responsible for any errors or omissions contained on these pages. Please verify any information in question with Loyalty Toyota management. Excludes tax, tag, title, $999 dealer documentation fees, and registration.Vehicle option and pricing are subject to change. Vehicle option and pricing are subject to change. Prices include all dealer incentives. Pricing and availability varies by dealership. Please check with your dealer for more information. Prices do not include dealer charges, such as advertising, that can vary by manufacturer or region, or costs for selling, preparing, displaying or financing the vehicle. Images displayed may not be representative of the actual trim level of a vehicle. Colors shown are the most accurate representations available. However, due to the limitations of web and monitor color display, we cannot guarantee that the colors depicted will exactly match the color of the car. Information provided is believed accurate but all specifications, pricing, and availability must be confirmed in writing (directly) with the dealer to be binding. Neither the Dealer nor the website provider is responsible for any inaccuracies contained herein and by using this application you the customer acknowledge the foregoing and accept such terms.
-



